Terreno edificabile in vendita via Oratino, Roma, Tiburtina. € 310.000
Quartiere: Tiburtina. Via Oratino, 00131 Roma RM, Italia
Descrizione
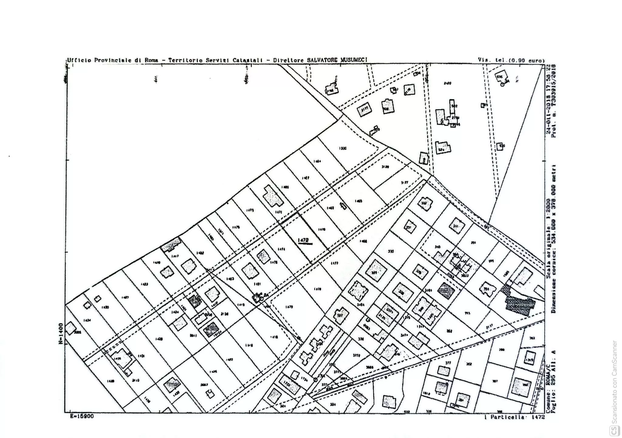
TIBURTINA – CASEROSSE- Più precisamente in Via Oratino, zona in grande espansione, la LINK IMMOBILIARE propone la vendita di un terreno edificabile, con indice di edificabilità 0,50. Il venditore è in possesso di più progetti (mai presentati) per edificare su tre piani una villa unifamiliare, bifamiliare, quadrifamiliare fino a 6 villini a schiera. Trattasi di un terreno centrale, pianeggiante e con possibilità di doppio accesso da Via Oratino e da Via Tremonti. Possibilità di aumentare l’indice di edificabilità condividendo eventuale progetto con il confinante.
TIBURTINA – CASEROSSE – TECNOPOLO – SETTEVILLE –
Dati immobile
Piano: T
Caratteristiche
Planimetria
Planimetria
Terreno edificabile in vendita via Oratino, Roma
- Piano T
- MQ 1377
Mappa
